icon phone +32 13 31 25 22 icon estate favorite
Lanciersstraat Halen
7202

Lanciersstraat Halen

Vlakbij centrum Halen, in de Lanciersstraat, verkoopt Immo Diest 4 nieuwe BEN-woningen (halfopen bebouwingen) met A+label.
Enkel bij een aankoop (akte) in 2024 kan u nog genieten van voordelige BTW: 6% ipv 21%!!! (gezien de afbraak van een vroegere woning op het perceel).

 

Er is nog maar 1 woning met 3 ruime slaapkamers te koop!!

 

++ ENERGIEZUINIG ++

De woningen zijn uiterst energiezuinig (A+), comfortabel en worden afgewerkt verkocht.

Vloerverwarming, zonnepanelen, ventilatie D, warmtepomp (lucht-water) voorzien.

E-peil: A+ (max. E-30 volgens norm)

 

++ EIGEN KEUZE AFWERKING ++

Eigen keuze afwerking in de aangestelde toonzalen cfr. lastenboek.

 

++ 4 SLAAPKAMERS, CARPORT EN TUIN++

De woningen hebben 3 of 4 ruime slaapkamers, omheinde tuin met terras en carport.

 

++ PERFECTE LIGGING ++

De woningen liggen op een boogscheut van de winkels, scholen, chirolokalen en sportvelden. De Lanciersstraat is een rustige straat, die uitgeeft op agrarisch gebied. Op minder dan 5 min. van de afrit Halen (E314) gelegen.

Kindvriendelijk wonen, vlakbij het centrum en alle faciliteiten? Dan zullen deze woningen jou zeker bekoren.

 

++ PRIJZEN EN BETALING ++

KOOP AAN 6% BTW! Enkel bij een aankoop (akte) in 2024 geniet u nog van een aankoop aan 6% BTW!!

Check bij je makelaar of je hiervoor in aanmerking komt.

Geen voorschot, u betaalt de volledige aankoopsom bij akte (wanneer de woning volledig klaar is).

 

Het betreft een gesplitste aankoop van grond en constructie.

Op het grondgedeelte betaalt u registratierechten (12%).

Op het constructiegedeelte betaalt u btw (6% btw is mogelijk voor rechthebbenden).

U dient pas te betalen wanneer de woning klaar is. De oplevering gebeurt vóór het verlijden van de notariële akte. Voorziene oplevering: zomer 2024.

 

++ MEER INFO ++

Meer info op de website immodiest.be en rechtstreeks via het kantoor: 013 31 25 22.

 

ACTIE: Bij aankoop gratis een geschenkbon van 2.500 euro voor Berghoff keukenmateriaal

 

 

6% BTW MOGELIJK

6% BTW MOGELIJK

6% BTW MOGELIJK. Ook voor u?

Dit project komt in aanmerking voor 6% BTW!

Wat zijn de voorwaarden:

  • Er moet sprake zijn van de afbraak van een gebouw en de heropbouw;
  • Je verwerft de gehele woning/appartement in volle eigendom;
  • Enkel voor de enige en eigen gezinswoning;
  • De gezinswoning moet binnen het jaar na datum ingebruikname verkocht zijn;
  • Je moet voor minimum vijf jaar aan deze voorwaarde voldoen, anders zal je een deel van het genoten voordeel moeten terugbetalen;
  • Maximale bewoonbare oppervlakte van 200m².

Tijdelijke overgangsregeling die tot en met 31 december 2024 loopt. 

Uiterst energiezuinig! A+label

Uiterst energiezuinig! A+label

Energiezuinig!

De woningen zijn energiezuinig. Denk aan vloerverwarming, zonnepanelen, ventilatie met warmterecuperatie, warmtepomp. E-peil volgens norm: max. 30, maar de promotor gaat voor een A+-label van elke woning.

Project
in cijfers.

6

woningen

Perfecte ligging

Perfecte ligging

Perfecte ligging

De woningen liggen op een boogscheut van de winkels, scholen, chirolokalen en sportvelden. De Lanciersstraat is een rustige straat, die uitgeeft op agrarisch gebied. Op minder dan 5 min. van de afrit Halen (E314) gelegen.

Kindvriendelijk wonen, vlakbij het centrum en alle faciliteiten? Dan zullen deze woningen jou zeker bekoren.

tagging beeld
icon plus

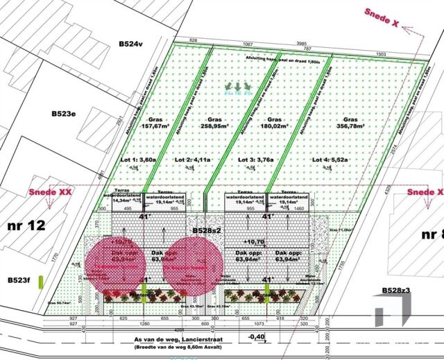
Lanciersstraat lot 1

VERKOCHT

icon plus

Lanciersstraat lot 2

VERKOCHT

icon plus

Lanciersstraat lot 3

VERKOCHT

icon plus

Lanciersstraat lot 1

VERKOCHT

icon plus

Lanciersstraat lot 1

VERKOCHT

icon plus

Lanciersstraat lot 2

VERKOCHT

icon plus

Lanciersstraat lot 3

VERKOCHT

icon plus

Lanciersstraat lot 1

VERKOCHT

Prijzen & plannen

Verdieping Type Nr. slaapkamers icon Badkamers icon Garage icon Oppervlakte icon Terras icon Tuin icon Prijs Plan Details
- Woning lot 2 - - - - - - Verkocht - -
- Woning lot 2 - - - - - - Verkocht - -
- Woning lot 1 - - - - - - Verkocht - -
- Woning lot 1 - - - - - - Verkocht - -
- Woning lot 3 - - - - - - Verkocht - -
- Woning lot 3 - - - - - - Verkocht - -

Vermelde prijzen zijn exclusief BTW en excl. registratierechten.

Ontdek 4 gloednieuwe woningen in de Lanciersstraat in Halen (Limburg). Vlakbij het centrum en op minder dan 5 min. van afrit Halen E314.

Interesse in dit project?
Contacteer ons voor meer info.

icon estate favorite Bewaar als favoriet facebook Deel op facebook linkedin Deel op linkedin whatsapp Deel via Whatsapp messenger Deel via Messenger mail Deel via Mail print druk eigendomfiche af
icon chevron up

Bekijk uw favorieten Close button icon